
News


WATCH | Congress MLA throws mud on highway engineer in Maharashtra; Twitter calls out VIP brats

Spanish football club chief who believes in flat Earth theory challenges experts to prove Earth is round

Will former defence minister's first budget set right defence outlay anomaly?

India evaluates offer from Boeing, Lockheed Martin for 'world's largest' fighter jet deal

HK Kumaraswamy appointed as new Janata Dal (Secular) president

Japan, Singapore passports crowned most powerful, bumps US and UK to 6th place

Adani group to operate Ahmedabad, Lucknow, Mangaluru airports

Pakistan announces crackdown on Hafiz Saeed for financing terror activities

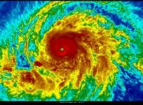
Hurricane Barbara close to Category 5 intensity storm, likely to weaken near Hawaii

Will Facebook battle Murdoch empire for buying ZEE stake from Subhas Chandra?

Priyanka Gandhi supports Rahul's decision, says only few have such courage

Get ready for catastrophic hit: NASA reveals details of monstrous asteroid that could hit Earth in October

CBI court acquits Mukhtar Ansari in BJP leader's murder case

Rahul Gandhi pleads 'not guilty' in Mumbai court, gets bail in RSS defamation case
Advertisement
Advertisement